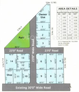
Plot
1,638 - 2,480 sq ft



Parjay has launched its premium housing project, Ramakrishna Avenue, in Moolacheri, Chennai. Among the many luxurious amenities that the project hosts are Sweet Drinking Water, Gated Community etc. Parjay Ramakrishna Avenue is Completed project and possession in Nov 12.
| Area | Price |
|---|---|
| 1638 sq ft | - |
| 1984 sq ft | - |
| 1987 sq ft | - |
| 2090 sq ft | - |
| 2170 sq ft | - |
| 2480 sq ft | - |

