


- Possession Start DateFeb'15
- StatusCompleted
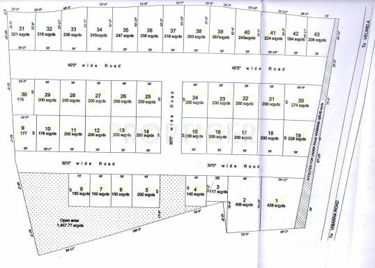
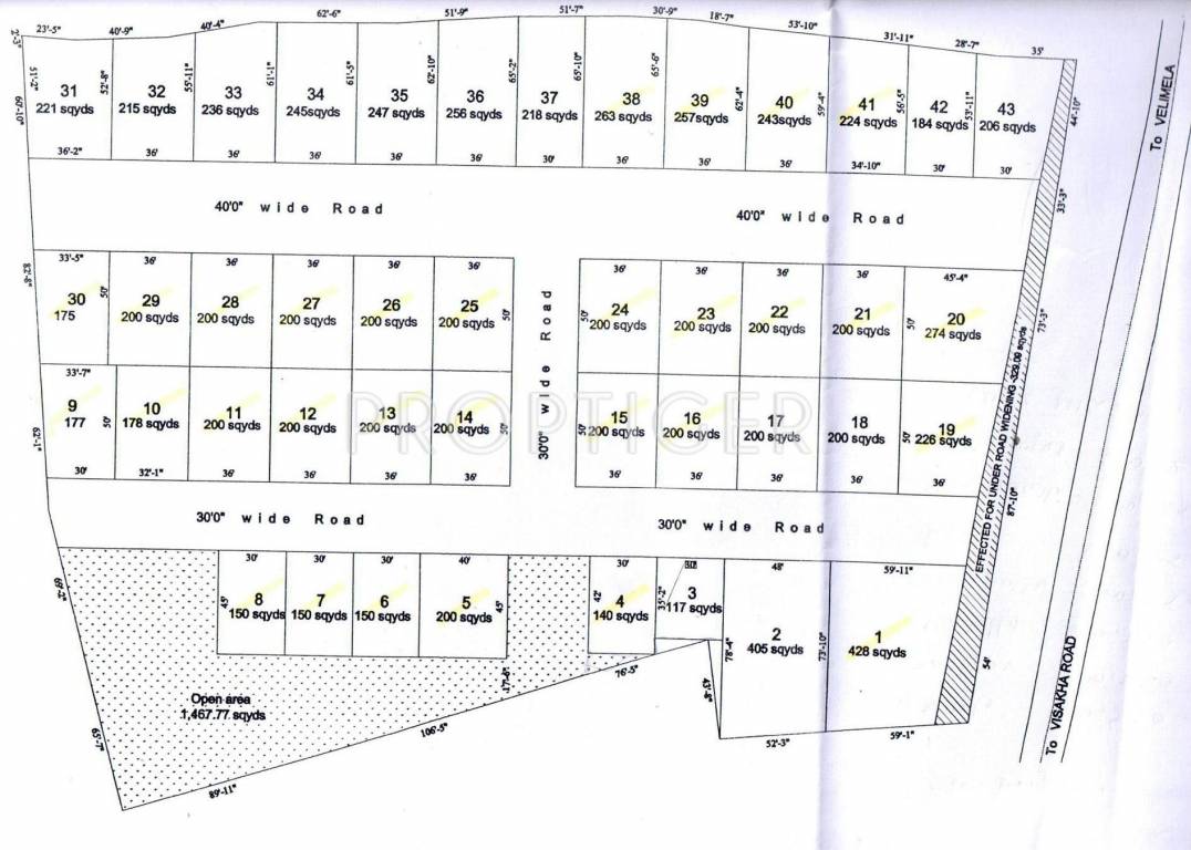
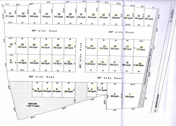
- Total Launched plots25
- Launch DateJul'13
- AvailabilityResale
More about Sri Nilayam
The Sri Srinivasa Sri Nilayam group is offering prosperous complex with the availability of great apartments. The project is all under construction in Mokila region which is situated in Hyderabad. The necessities like bank, ATM, hospital, school, restaurant, bus station, train station, petrol pump are found in the neighbourhood and the complex offers other facilities like gym, intercom facilities, senior citizen’s area, temple, pick up and drop supply, amphitheatre, basket ball court, ind...View more
![HDFC (5244) HDFC (5244)]()
![Axis Bank Axis Bank]()
![PNB Housing PNB Housing]()
![Indiabulls Indiabulls]()
![Citibank Citibank]()
![DHFL DHFL]()
![L&T Housing (DSA_LOSOT) L&T Housing (DSA_LOSOT)]()
![IIFL IIFL]()
- + 3 more banksshow less
Sri Nilayam Price List
| Area | Price |
|---|---|
| 1620 sq ft | - |
| 1728 sq ft | - |
| 1800 sq ft | - |
- All Round Compound wall
- Landscaping
- Vastu Compliant
- Theme Park
- Storm Water Drains
Sri Nilayam Gallery
About Sri Srinivasa

- Total Projects2
- Ongoing Projects0






















