2 BHK Apartment
1,270 sq ft



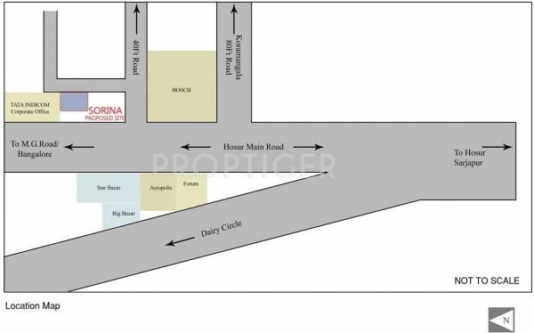
It offers 2 BHK Apartment in Bangalore South. The project is Completed project and possession in Jul 08. Among the many luxurious amenities that the project boasts are Indoor Games, Wi-Fi Connectivity, Club House, Health Facilities, etc.









